Airports for X-Plane offers a convenient way to explore airports and their related communication information for the X-Plane flight simulator. It only uses data from the X-Plane flight simulator itself, and is therefore more reliable than the data that comes from real aviation websites. You can search for airports by using the ICAO code, or browse for airports per country and state. The information displayed is categorized by airport details, runway information, airport communication, approach frequencies (ILS and Glidepath details), details of nearby beacons, SIDs, STARs and approach procedures.

flight attendant stopover international landing area embassy downtown newark military road outskirts air traffic control immigration airstrip customs faa rail transport flights transit airplane field

Temora

Airport details

CountryAustralia
StateNew South Wales
RegionYM
AirspaceMelbourne Ctr
MunicipalityTemora
Elevation916ft (279m)
TimezoneGMT +10
Coordinates-34.42167, 147.51167
Magnetic var
Typeland
Available sinceX-Plane v10.40
ICAO codeYTEM
IATA codeTEM
FAA coden/a

Communication

Temora TEMORA CTAF126.150
Temora MELBOURNE CENTRE MULT134.650
Nearby Points of Interest:
Temora Post Office
-
Temora railway station
-
Bethungra Spiral
-
Athenium Theatre
-
Junee Post Office
-
Cootamundra West railway station
-
Cootamundra railway station

Runway info

Runway 05 / 23  
 length2041m (6696ft)
 bearing66° / 246°
 width30m (99ft)
 surfaceasphalt
 displ threshold0m (0ft) / 60m (197ft)
Runway 18 / 36  
 length1469m (4820ft)
 bearing191° / 11°
 width30m (99ft)
 surfaceasphalt
 displ threshold0m (0ft) / 113m (371ft)
Runway 09 / 27
 length830m (2723ft)
 bearing97° / 277°
 width30m (98ft)
 surfacedirt

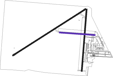
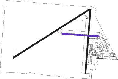
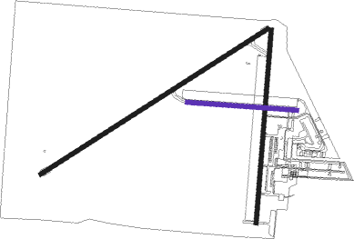
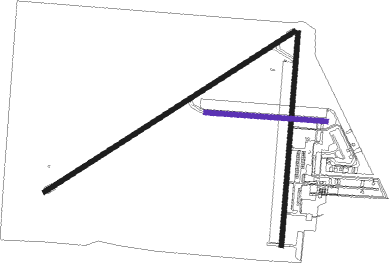
Airport layout - runway 09 / 27


Parking locations

Nearby beacons

codeidentifierdistbearingfrequency
WGWAGGA WAGGA NDB44.6184°221
WGWAGGA WAGGA VOR/DME44.7183°115

Instrument approach procedures

runwayairway (heading)route (dist, bearing)
RW05-ZTEMWE (84°)TEMWE 2800ft
TEMWI (5mi, 127°) 2800ft
RW05-ZTEMWG (67°)TEMWG 2800ft
TEMWI (5mi, 66°) 2800ft
RW05-ZTEMWJ (47°)TEMWJ 2800ft
TEMWI (5mi, 350°) 2800ft
 RNAVTEMWI 2800ft
TEMWF (5mi, 66°) 2550ft
YTEM (6mi, 68°) 963ft
TEMWH (2mi, 62°)
(8055mi, 283°) 2800ft
RW23-ZTEMEK (225°)TEMEK 3600ft
TEMEI (5mi, 170°) 3600ft
RW23-ZTEMEL (245°)TEMEL 3600ft
TEMEI (5mi, 246°) 3600ft
RW23-ZTEMEN (264°)TEMEN 3600ft
TEMEI (5mi, 307°) 3600ft
 RNAVTEMEI 3600ft
TEMEF (5mi, 246°) 2550ft
YTEM (5mi, 245°) 952ft
TEMEH (3mi, 249°)
(8051mi, 283°) 2800ft

Disclaimer

The information on this website is not for real aviation. Use this data with the X-Plane flight simulator only! Data taken with kind consent from X-Plane 12 source code and data files. Content is subject to change without notice.