Airports for X-Plane offers a convenient way to explore airports and their related communication information for the X-Plane flight simulator. It only uses data from the X-Plane flight simulator itself, and is therefore more reliable than the data that comes from real aviation websites. You can search for airports by using the ICAO code, or browse for airports per country and state. The information displayed is categorized by airport details, runway information, airport communication, approach frequencies (ILS and Glidepath details), details of nearby beacons, SIDs, STARs and approach procedures.

air traffic control airstrip aerodrome flight near control tower rail transport airfield landing railway station airbus airports airdock airport terminal runway airspace propeller plane arrival southwest metro

Oklahoma City - Wiley Post

Airport details

CountryUnited States of America
StateOklahoma
RegionK4
AirspaceFt Worth Ctr
MunicipalityOklahoma City
Elevation1296ft (395m)
TimezoneGMT -6
Coordinates35.53417, -97.64706
Magnetic var
Typeland
Available sinceX-Plane v10.40
ICAO codeKPWA
IATA codePWA
FAA codePWA

Communication

Wiley Post ATIS128.725
Wiley Post CTAF126.900
Wiley Post UNICOM122.950
Wiley Post Ground Control121.700
Wiley Post Tower126.900
Wiley Post OKE CITY Approach/Departure124.600
Wiley Post OKE CITY Approach/Departure120.450
Wiley Post OKE CITY Approach/Departure124.200

Approach frequencies

ILS-cat-IRW17L110.1518.00mi
ILS-cat-IRW35R110.1518.00mi
3° GSRW17L110.1518.00mi
3° GSRW35R110.1518.00mi
Nearby Points of Interest:
Founders Tower
-
Donald Pollock House
-
Yukon Public Library
-
Czech Hall
-
Milk Bottle Grocery
-
Harding Charter Preparatory High School
-
Gold Dome
-
The Classen
-
Paseo Arts District
-
Pilgrim Congregational Church
-
First Christian Church
-
First Church of Christ, Scientist
-
Automobile Alley
-
Elks Lodge Building
-
Cain's Coffee Building
-
Oklahoma County Courthouse
-
Hightower Building
-
St. Paul's Cathedral
-
The Heritage
-
United States Post Office, Courthouse, and Federal Office Building
-
Braniff Building
-
Oklahoma Publishing Company Building
-
First National Center
-
Elks Victory Lodge-Ruby's Grill Building
-
Meloy House

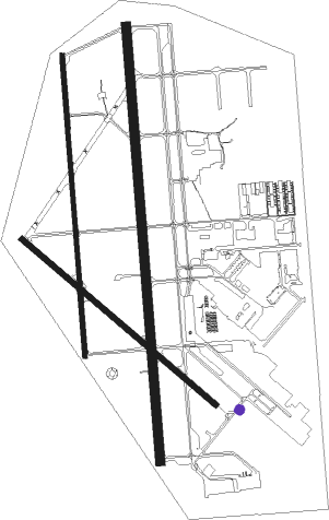
Runway info

Runway 17L / 35R  
 length2201m (7221ft)
 bearing180° / 0°
 width46m (151ft)
 surfaceconcrete
 displ threshold0m (0ft) / 109m (358ft)
 blast zone0m (0ft) / 43m (141ft)
Runway 17R / 35L  
 length1527m (5010ft)
 bearing180° / 0°
 width23m (75ft)
 surfaceasphalt
Runway 13 / 31  
 length1286m (4219ft)
 bearing129° / 309°
 width30m (98ft)
 surfaceconcrete
 displ threshold0m (0ft) / 4m (13ft)
 blast zone0m (0ft) / 75m (246ft)

Nearby beacons

codeidentifierdistbearingfrequency
PWAWILEY POST (OKLAHOMA CITY VOR/DME0186°113.40
IRWWILL ROGERS (OKLAHOMA CIT VORTAC10.7168°114.10
TIKTINKER (OKLAHOMA CITY) TACAN14.3110°115.80
RGGALLY (OKLAHOMA CITY) NDB14.6166°350
IFIKINGFISHER VORTAC23.8307°114.70
EIGARFY (ENID) NDB45349°341
SWOSTILLWATER VOR/DME49.739°108.40
SRESEMINOLE NDB50.1105°278
SWBLAKI (STILLWATER) NDB50.139°255
ENDVANCE (ENID) VORTAC50.4341°115.40
ODGWOODRING (ENID) VOR/DME50.8350°109

Departure and arrival routes

Transition altitude18000ft
Transition level18000ft
SID end pointsdistanceoutbound heading
RW13
 WENDY337mi18°
 TRUPR357mi71°
 FUNNL377mi93°
 RDHWK366mi114°
 TEBRD380mi128°
 KRMSN475mi137°
 MUDDE383mi160°
 THRPE337mi197°
 OLGUY375mi264°
 STPHN374mi271°
 SSYKO328mi355°
RW17 (ALL)
 WENDY337mi18°
 TRUPR357mi71°
 FUNNL377mi93°
 RDHWK366mi114°
 TEBRD380mi128°
 KRMSN475mi137°
 MUDDE383mi160°
 THRPE337mi197°
 OLGUY375mi264°
 STPHN374mi271°
 SSYKO328mi355°
RW31
 WENDY337mi18°
 TRUPR357mi71°
 FUNNL377mi93°
 RDHWK366mi114°
 TEBRD380mi128°
 KRMSN475mi137°
 MUDDE383mi160°
 THRPE337mi197°
 OLGUY375mi264°
 STPHN374mi271°
 SSYKO328mi355°
RW35 (ALL)
 WENDY337mi18°
 TRUPR357mi71°
 FUNNL377mi93°
 RDHWK366mi114°
 TEBRD380mi128°
 KRMSN475mi137°
 MUDDE383mi160°
 THRPE337mi197°
 OLGUY375mi264°
 STPHN374mi271°
 SSYKO328mi355°

STAR starting pointsdistanceinbound heading
ALL
 GULLI237.7226°
 FAKEY142.9289°
RW17L
 BASTS127.728°
 CCASH123.853°
 DAWKS116.998°
 JUDDG227.7226°
 WAYMN128.9339°
RW35R
 BASTS127.728°
 CCASH123.853°
 DAWKS116.998°
 JUDDG227.7226°
 WAYMN128.9339°

Instrument approach procedures

runwayairway (heading)route (dist, bearing)
RW17LIFI (127°)IFI
WABDU (18mi, 104°) 3000ft
 RNAVWABDU 3000ft
ZOVUM (5mi, 180°) 3000ft
KPWA (6mi, 181°) 1345ft
(5779mi, 110°) 1700ft
IFI (5795mi, 290°) 3400ft
IFI (turn)
RW17RIFI (127°)IFI
WOLSA (18mi, 104°) 3000ft
 RNAVWOLSA 3000ft
ZEKUP (5mi, 180°) 3000ft
KPWA (6mi, 179°) 1328ft
(5779mi, 110°) 1700ft
IFI (5795mi, 290°) 3400ft
IFI (turn)
RW35LIRW (348°)IRW
IYOCU (3mi, 309°) 2900ft
RW35LNEADS (29°)NEADS
IYOCU (31mi, 36°) 2900ft
RW35LPWA (6°)PWA
IYOCU (8mi, 181°) 2900ft
IYOCU (turn) 2900ft
 RNAVIYOCU 2900ft
WIGOK (3mi, 0°) 2900ft
ZEROK (3mi, 0°) 1820ft
KPWA (2mi, 4°) 1320ft
(5779mi, 110°) 1700ft
IFI (5795mi, 290°) 3400ft
IFI (turn)
RW35RIRW (348°)IRW
MEHUF (2mi, 241°) 2900ft
MEHUF (turn) 2900ft
RW35RNEADS (29°)NEADS
HUSOK (26mi, 30°) 2900ft
MEHUF (5mi, 90°) 2900ft
RW35RPWA (6°)PWA
MEHUF (12mi, 179°) 2900ft
MEHUF (turn) 2900ft
 RNAVMEHUF 2900ft
NORRM (6mi, 360°) 2900ft
KPWA (5mi, 359°) 1349ft
BAHHI (6mi, 1°)
IFI (20mi, 296°) 3100ft
IFI (turn)

Holding patterns

STAR namehold attypeturnheading*altitudelegspeed limit
GULLI2GULLIVHFright23 (203)°1.0min timedICAO rules
*) magnetic outbound (inbound) holding course

Disclaimer

The information on this website is not for real aviation. Use this data with the X-Plane flight simulator only! Data taken with kind consent from X-Plane 12 source code and data files. Content is subject to change without notice.