Airports for X-Plane offers a convenient way to explore airports and their related communication information for the X-Plane flight simulator. It only uses data from the X-Plane flight simulator itself, and is therefore more reliable than the data that comes from real aviation websites. You can search for airports by using the ICAO code, or browse for airports per country and state. The information displayed is categorized by airport details, runway information, airport communication, approach frequencies (ILS and Glidepath details), details of nearby beacons, SIDs, STARs and approach procedures.

airline airbus jetliner grass transit terminal air traffic control near southwest train station automated airport weather station newark flown outskirts aerodrome control tower jet public transport taxiway airplane

Taldykorgan

Airport details

CountryKazakhstan
StateJetisu Region
RegionUA
AirspaceAlmaty Ctr
MunicipalityEskeldi District
Elevation1943ft (592m)
TimezoneGMT +6
Coordinates45.11109, 78.43807
Magnetic var
Typeland
Available sinceX-Plane v10.40
ICAO codeUAAT
IATA codeTDK
FAA coden/a

Communication

Taldykorgan ATC Taldykorgan Tower127.300

Runway info

Runway 02 / 20
 length2999m (9839ft)
 bearing35° / 215°
 width50m (164ft)
 surfaceconcrete
 blast zone62m (203ft) / 63m (207ft)

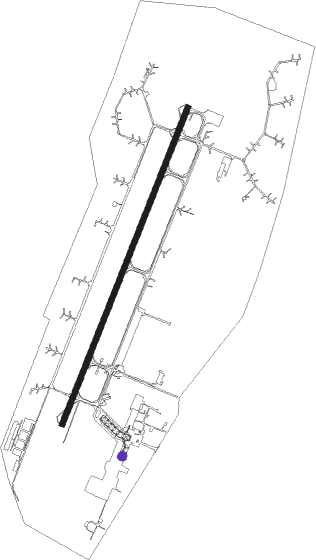
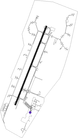
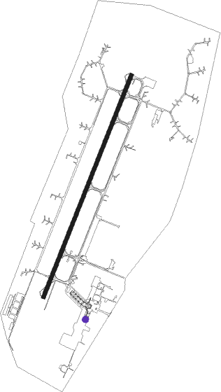
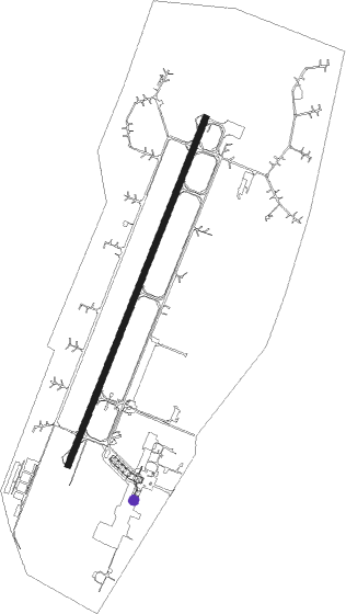
Airport layout - parking location 2


Taxiway locations
Parking locations

Nearby beacons

codeidentifierdistbearingfrequency
TDKTALDYKORGAN VOR/DME0.4239°116.10
TTALDYKORGAN NDB0.5230°625
KTALDYKORGAN NDB1.930°625
TKTALDYKORGAN NDB2219°303
KRTALDYKORGAN NDB3.833°303

Departure and arrival routes

Transition altitude10000ft
SID end pointsdistanceoutbound heading
RW02
 BESL3E, BESL3A81mi35°
 LUSO3A, LUSO3E53mi64°
 MIPL3A, MIPL3E43mi212°
 DIPE4A, DIPE4E34mi299°
RW20
 BESL3F, BESL3B81mi35°
 LUSO3B, LUSO3F53mi64°
 MIPL3B, MIPL3F43mi212°
 DIPE4B, DIPE4F34mi299°

STAR starting pointsdistanceinbound heading
RW02
 MIPL3C, MIPL3G42.632°
 DIPE4C, DIPE4G34.2119°
 BESL3C, BESL3G80.5215°
 LUSO3G, LUSO3C52.8244°
RW20
 MIPL3H, MIPL3D42.632°
 DIPE4D, DIPE4H34.2119°
 BESL3H, BESL3D80.5215°
 LUSO3D, LUSO3H52.8244°

Holding patterns

STAR namehold attypeturnheading*altitudelegspeed limit
BESL3CTNDBright116 (296)°> 4000ft1.0min timedICAO rules
BESL3DKNDBleft53 (233)°> 4000ft1.0min timedICAO rules
BESL3GTDKNDBright21 (201)°> 7000ft1.0min timedICAO rules
BESL3HTDKNDBright21 (201)°> 7000ft1.0min timedICAO rules
DIPE4CTNDBright116 (296)°> 4000ft1.0min timedICAO rules
DIPE4DKNDBleft53 (233)°> 4000ft1.0min timedICAO rules
DIPE4GTDKNDBright21 (201)°> 7000ft1.0min timedICAO rules
DIPE4HTDKNDBright21 (201)°> 7000ft1.0min timedICAO rules
LUSO3CTNDBright116 (296)°> 4000ft1.0min timedICAO rules
LUSO3DKNDBleft53 (233)°> 4000ft1.0min timedICAO rules
LUSO3GTDKNDBright21 (201)°> 7000ft1.0min timedICAO rules
LUSO3HTDKNDBright21 (201)°> 7000ft1.0min timedICAO rules
MIPL3CTNDBright116 (296)°> 4000ft1.0min timedICAO rules
MIPL3DKNDBleft53 (233)°> 4000ft1.0min timedICAO rules
MIPL3GTDKNDBright21 (201)°> 7000ft1.0min timedICAO rules
MIPL3HTDKNDBright21 (201)°> 7000ft1.0min timedICAO rules
*) magnetic outbound (inbound) holding course

Disclaimer

The information on this website is not for real aviation. Use this data with the X-Plane flight simulator only! Data taken with kind consent from X-Plane 12 source code and data files. Content is subject to change without notice.